
Category 5 Hurricane Melissa Bears Down on Part of North America
All across the Caribbean, families huddled in darkened homes as howling winds ripped through the night — a terrifying reminder of nature’s growing fury and the fragility of life in its path.
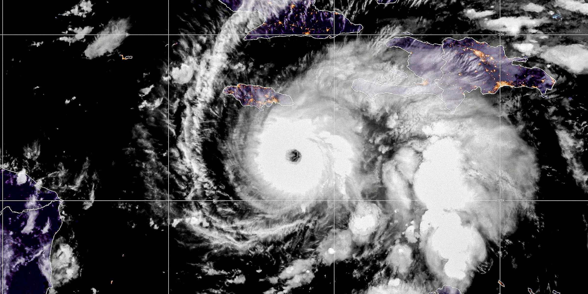
Once a swirling system off the coast, Hurricane Melissa has now exploded into a catastrophic Category 5 storm, its winds doubling in under 24 hours as abnormally warm waters fueled its rise.

A satellite image of Hurricane Melissa provided by the National Oceanic and Atmospheric Administration (NOAA) on October 27, 2025. | Source: Getty Images
Melissa Unleashes Havoc Across the Caribbean as Scientists Warn Warming Seas Fuel Stronger Storms
In the days leading up to the storm's peak, it strengthened into a Category 4 system on Saturday, bringing torrential rain and sparking fears of catastrophic flooding across the northern Caribbean, according to the U.S. National Hurricane Center (NHC).
By late Monday, the NHC issued a chilling warning that "Catastrophic flash flooding and numerous landslides" are expected in Melissa's path, with some regions facing up to 30 inches of rainfall. Already, at least six people are reportedly dead, and nearly 200 homes have been damaged in the Dominican Republic.

Hurricane Melissa | Source: Getty Images
Melissa's intensity has left weather experts stunned. "That part of the Atlantic is extremely warm right now — around 30 degrees Celsius (86 degrees Fahrenheit), which is 2 to 3 degrees Celsius above normal," said Akshay Deoras, a meteorologist at the University of Reading in the United Kingdom.
He added, "And it's not just the surface. The deeper layers of the ocean are also unusually warm, providing a vast reservoir of energy for the storm."

A coconut tree being blown by the storm from the effects of Hurricane Melissa | Source: Getty Images
Melissa is the fourth Atlantic storm this year to undergo rapid intensification, a phenomenon in which wind speeds spike dramatically in a short period of time — and scientists say this isn't a fluke.
"Climate change is fundamentally changing our weather," warned Bernadette Woods Placky, chief meteorologist at Climate Central. "It does not mean that every single tropical cyclone is going to go through rapid or super-rapid intensification. However, in our warmer world, it will continue to increase the likelihood."
A 2023 study reported by AP News revealed a disturbing trend: Atlantic hurricanes are now more than twice as likely to rapidly intensify from minor storms into major ones than they were in the 1970s and 1980s. The analysis covered 830 tropical cyclones since 1971.

A man watches the waves crash into the walls as Hurricane Melissa hits. | Source: Getty Images
Jamaica Braces for Impact as Storm Crawls Closer
The storm's current position has several Caribbean nations on high alert. As of Monday night, Melissa was centered roughly 155 miles southwest of Kingston, Jamaica, and 335 miles southwest of Guantánamo, Cuba, inching forward at a menacing 2 mph.
Experts are warning that Melissa's slow pace and proximity to land could spell disaster. "If a hurricane forms deep in the ocean and just dissipates over the ocean, it's fine. It's not going to affect anyone," Deoras said. "But if it forms close to the coast, and if it just crosses the coast, as we are going to see in the case of Jamaica and other regions, it's a big problem."

Storm surge is pictured before the arrival of Hurricane Melissa in the Caribbean Terrace area of Kingston, Jamaica, on October 25, 2025 | Source: Getty Images
On the ground in Kingston, residents are already making desperate preparations. "I boarded up the windows at my home, where my husband and brother are staying," said Hanna Mcleod, a 23-year-old hotel receptionist. "I stocked up on canned corned beef and mackerel and left candles and flashlights throughout the house."

A resident stands at a flooded section of Port Royal in Kingston on October 27, 2025 | Source: Getty Images
Looking ahead, Melissa is forecast to make landfall in Jamaica on Tuesday before moving across Cuba and the Bahamas through Wednesday, according to the NHC.
A Nation Prays as Evacuations Begin
Jamaican Prime Minister Andrew Holness said, "I have been on my knees in prayer," as mandatory evacuations have been ordered in flood-prone areas and buses are ferrying people to shelters.

Andrew Holness during the United Nations General Assembly (UNGA) in New York on September 26, 2025 | Source: Getty Images
Storm surges could reach up to 13 feet, threatening Jamaica's international airport, power plants, and coastal infrastructure. The forecast has sparked fears of a potential humanitarian crisis.
"This can become a true humanitarian crisis very quickly, and there is likely going to be the need for a lot of international support," said Jonathan Porter, chief meteorologist at AccuWeather.

A fallen Jamaica Public Service light pole lies along Sugar Man's Beach Road in Hellshire, St. Catherine, as Jamaica begins to feel Hurricane Melissa's impact on October 26, 2025. | Source: Getty Images
Urgent Safety Measures and Survival Tips
Meanwhile, as Hurricane Melissa continues to bear down on the Caribbean, emergency officials are urging residents to take immediate safety precautions.

People sit in a shelter at Holy Family Primary School in Kingston, Jamaica, on October 27, 2025 | Source: Getty Images
Experts advise residents to secure outdoor items such as furniture and grills that could become dangerous projectiles in strong winds. Windows should be boarded up, and essential documents such as passports and birth certificates should be stored in waterproof containers for quick retrieval during an evacuation.
Each family is urged to assemble an emergency kit with enough supplies to survive independently for several days. That includes at least one gallon of water per person per day for up to a week, nonperishable food, flashlights and extra batteries, medications, power banks, and a battery-operated radio.

Some hurricane emergency kit. | Source: Getty Images
Pets should not be forgotten, with ample food, water, and medicine packed for them as well.
For families with small children, officials recommend adding games, books, or coloring materials to the emergency stash. "Nothing's more challenging for a family than kids that are bouncing off the walls because they're bored," said Brian Mason, director of Houston's Office of Emergency Management.

Volunteers assemble relief packages for Hurricane Melissa. | Source: Getty Images
Those choosing to evacuate are urged to plan routes before the hurricane hits, fill their vehicles with fuel, and ensure all electronic devices are fully charged.
"Think about what the worst could be and prepare for that — and you'll always be ready for what comes your way," said Shawn Schulze, regional CEO of the American Red Cross Texas Gulf Coast Region.

A motorist drives along flooded Michael Manley Boulevard in Kingston, Jamaica. | Source: Getty Images
A Brutal Reminder of a Warming World
Beyond the wreckage and the warning sirens, Melissa is a terrifying reminder of the planet's new reality as Deoras said:
"We can't stop hurricanes, but we can reduce the risk by cutting emissions and improving coastal defenses. Investment in early warning systems, sea walls, and resilient infrastructure is critical for island nations and coastal areas."
Placky added, "With 90% of our extra heat going into our oceans, we're seeing these oceans warm and they're rising. So even outside of any storm, the water levels are getting higher. They're creeping away at our coastlines and they're going farther inland."

Sandbags are placed at the entrance of the Grace Kennedy building in preparation for the arrival of Hurricane Melissa in downtown Kingston, Jamaica, on October 25, 2025 | Source: Getty Images
According to the publication, the NOAA forecasts a more active Atlantic hurricane season this year, expecting 13 to 18 named storms, five to nine hurricanes, and two to five major hurricanes. After a sluggish start, those predictions have held mainly true — the tally has already reached 13 storms and four major hurricanes, with about a month remaining in the season.
This current hurricane may be the most explicit warning yet — a terrifying showcase of what a rapidly warming world can truly unleash.